Formulaire pour obtenir votre indemnité à cette adresse : https://docs.google.com/forms/d/e/1FAIpQLSePcB0fyyNAYVfGNFVni_iJKmeiCBvmuzwhVLL6ByyYNXp0ZQ/viewform
East Angus, 20 avril 2023
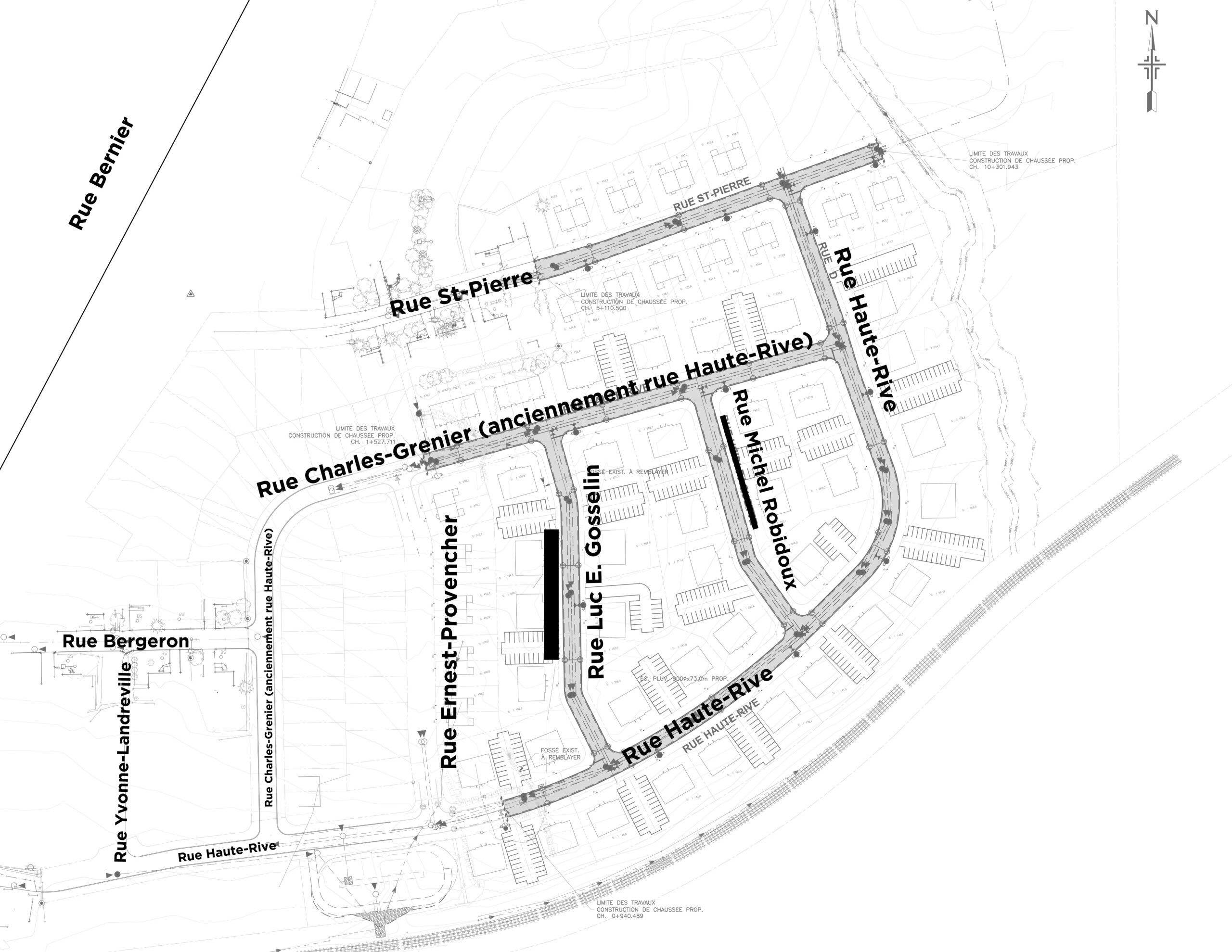
Objet : Changement du nom de rue Haute-Rive pour rue Charles-Grenier
Madame, Monsieur,
Le plan des rues a été modifié dans les derniers mois en fonction du prolongement du Domaine Haute-Rive actuellement en cours.
Il aurait été difficile au tout début du développement du Domaine Haute-Rive de connaître cette problématique compte tenu qu’au départ seulement des maisons unifamiliales et jumelées étaient prévues dans ce secteur résidentiel. L’évolution du marché immobilier et le prolongement du secteur permettent la mise en place d’immeubles à logement. Des numéros civiques uniques sont demandés pour chacune des unités de logement. La rue Haute-Rive aurait créée un enjeu pour retracer les numéros de civiques puisque la rue aurait fait une boucle et le nombre de numéros civiques aurait été trop grand en fonction des disponibilités des numéros civiques existants.
Pour cette raison, le conseil municipal a déterminé qui serait important et favorable pour l’avenir de modifier le nom de la rue Haute-Rive se déployant vers le nord pour le nom de la rue Charles-Grenier en l’honneur du père du promoteur résidentiel du Domaine Haute-Rive. Le promoteur avait demandé ce nom de rue pour l’une des rues dans le Domaine Haute-Rive. Avec ce nouveau nom de rue, il sera plus facile, pour chacun, de s’y retrouver.
Collaboratrice à ce genre de situation hors du commun, la Ville de East Angus versera l’équivalent de 150 $ par adresse civique pour les propriétaires ou locataires qui en feront la demande. De plus, la Ville de East Angus s’engage à accompagner et collaborer avec les personnes qui auront besoin d’accompagnement dans ce processus de changement d’adresse. Il est à noter que les numéros civiques resteront les mêmes, seulement le nom de la rue sera modifié.
Formulaire pour obtenir votre indemnité à cette adresse : https://docs.google.com/forms/d/e/1FAIpQLSePcB0fyyNAYVfGNFVni_iJKmeiCBvmuzwhVLL6ByyYNXp0ZQ/viewform
Voici quelques liens pour connaître les choses à effectuer lors d’un changement d’adresse :
- adresse.gouv.qc.ca
- https://www.canada.ca/fr/gouvernement/changement-adresse.html
- https://www.canadapost-postescanada.ca/scp/fr/personnel/recevoir/gerer-votre-courrier/reacheminement-du-courrier.page?
Nous vous invitons à contacter si vous avez des questions et/ou commentaires.
Nous vous remercions pour votre compréhension et de votre collaboration.
Ville de East Angus
819 560-8600 poste 2400
info@eastangus.ca